skip to main | skip to sidebar

Charlie's Angels

Monday, October 5, 2009

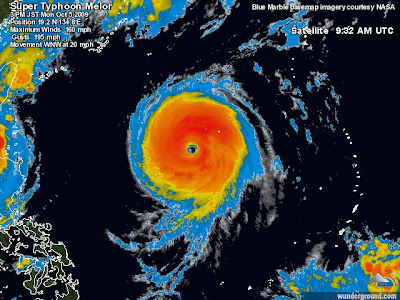
Waiting on Super Typhoon Melor

We are in TCCOR 3 (tropical cyclone condition of readiness). At this stage a typhoon is 48 hours away and we prepare our surroundings and fill up on food, water and gas. Here is the last up-to-date image of the typhoon.

Best Blogger Tips
on Monday, October 05, 2009
Newer Post Older Post Home

Jasmine - 16

Jasmine - 16
cartoonist, actress, director, smarty pants, thrill seaker

Maya -14

Maya -14
sweet, activist, friend to all

Kiera - 12

Kiera - 12
courious, happy, loves projects

Archive

  • ►  2013 (9)
    • ►  January (9)
  • ►  2011 (75)
    • ►  December (1)
    • ►  November (3)
    • ►  October (4)
    • ►  September (2)
    • ►  August (3)
    • ►  July (8)
    • ►  June (11)
    • ►  May (11)
    • ►  April (6)
    • ►  March (12)
    • ►  February (5)
    • ►  January (9)
  • ►  2010 (151)
    • ►  December (16)
    • ►  November (7)
    • ►  October (11)
    • ►  September (6)
    • ►  August (9)
    • ►  July (3)
    • ►  June (9)
    • ►  May (18)
    • ►  April (11)
    • ►  March (19)
    • ►  February (20)
    • ►  January (22)
  • ▼  2009 (167)
    • ►  December (18)
    • ►  November (10)
    • ▼  October (12)
      • Carving Pumpkins
      • Fall Festival
      • Oki All Day
      • Wow, What a Week
      • Heave....Hoo...Heave...Hoo
      • Stop, Drop and Roll
      • Let's Go Already
      • All Clear
      • Still Waiting
      • Waiting on Super Typhoon Melor
      • Sam's
      • Nothing
    • ►  September (9)
    • ►  August (22)
    • ►  July (19)
    • ►  June (12)
    • ►  May (15)
    • ►  April (16)
    • ►  March (16)
    • ►  February (10)
    • ►  January (8)
  • ►  2008 (4)
    • ►  December (4)
Blinkies
hit counter